Ciclón Gezani arrasa Madagascar: al menos 31 fallecidos y una ciudad en ruinas
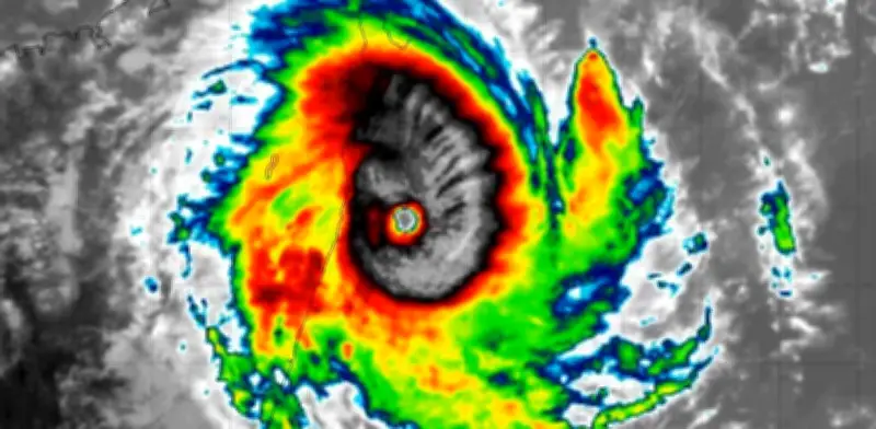
El ciclón Gezani ha dejado un rastro de muerte y destrucción en Madagascar, con al menos 31 personas muertas y más de 250 mil afectadas, según informaron las autoridades locales este miércoles. El fenómeno meteorológico golpeó con furia la noche del martes la ciudad portuaria de Toamasina, la segunda más poblada del país, generando una catástrofe sin precedentes.
Devastación total en Toamasina
El coronel Michaël Randrianirina, quien asumió el poder en octubre, describió la situación como "una catástrofe", señalando que casi el 75 por ciento de Toamasina fue destruida. Las ráfagas de viento, que alcanzaron velocidades de hasta 250 kilómetros por hora, barrieron esta urbe de aproximadamente 400 mil habitantes, dejando un panorama desolador.
Según la Oficina Nacional de Gestión de Riesgos y Catástrofes (BNGRC), además de los fallecidos, cuatro personas permanecen desaparecidas y 36 resultaron heridas. Un video aéreo difundido por la entidad muestra techos de chapa arrancados y palmeras completamente dobladas en la avenida de la Independencia, evidenciando la fuerza del ciclón.
Caos y daños generalizados
Rija Randrianarisoa, responsable regional de la oenegé Acción contra el Hambre, detalló: "Es el caos total, el 90 por ciento de las cubiertas de las casas salieron volando, totalmente o en parte. Las carreteras están impracticables, por los árboles y los tejados de chapa caídos. Los coches no pueden circular".
Las calles de Toamasina están cubiertas de cientos de árboles arrancados, y la infraestructura urbana ha sufrido daños severos. La oficina de Randrianirina indicó que alrededor del 75 por ciento de la infraestructura de la ciudad ha sido dañada o destruida, incluyendo derrumbes de edificios que causaron algunas de las muertes.
Testimonios de residentes y alertas futuras
Michel, un residente de Toamasina que solo se identificó con su nombre, relató por teléfono: "Es una devastación. Los tejados han sido arrancados, las paredes se han derrumbado, los postes de electricidad están caídos, los árboles han sido arrancados de raíz. Parece un paisaje catastrófico".
El centro de ciclones de la isla francesa de La Reunión calificó el impacto como "uno de los más intensos de la era satelital". Se espera que Gezani cruce el canal de Mozambique y podría afectar el sur de Madagascar a partir del viernes por la noche, una región ya golpeada por inundaciones a inicios de año.
Contexto histórico y costos económicos
Madagascar ha enfrentado más de una docena de tormentas tropicales o ciclones desde 2020, según cifras oficiales. La Oficina de Naciones Unidas para la Redución del Riesgo de Desastres estima que estos fenómenos causan daños de aproximadamente 85 millones de dólares anuales en infraestructura, subrayando la vulnerabilidad del país ante eventos climáticos extremos.
Con información de AFP, este desastre natural resalta la urgencia de fortalecer los sistemas de prevención y respuesta en zonas propensas a ciclones.



